BUSINESS LOCATIONS

ALTONA INDUSTRIAL & BUSINESS PARK

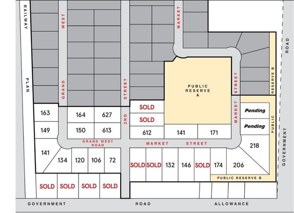
The expansion of Phase 1 introduces 22 new lots available within the new Altona Industrial Park, located off of 14th Ave NE, a high traffic location with over 1,000 vehicles per day and quick access to Highway 30. Lots range in size from 0.75 to 1.4 acres and are serviced with hydro, sewer and natural gas. Immediate possession available! 

Starting at $106,900 + GST!

 

BROCHURE